Trwa ładowanie...
d35d52j
Temat

japonia(strona 23/78)

Naukowcy z AGH projektują układy scalone dla japońskiej firmy
9 lipca 2014, 08:09

Naukowcy z AGH projektują układy scalone dla japońskiej firmy

Naukowcy z AGH projektują układy scalone do kamer japońskiej firmy Rigaku Corporation, jednego z najważniejszych producentów aparatury do badania składu i struktury materiałów oraz kontroli jakości produktów, m.in. w przemyśle farmaceutycznym, chemicznym, elektronicznym i motoryzacyjnym.

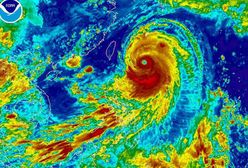
Nad Japonię nadciąga potężny tajfun
7 lipca 2014, 10:20

Nad Japonię nadciąga potężny tajfun

Japońska Agencja Meteorologiczna podniosła do najwyższego poziomu ostrzeżenie przed nadciągającym tajfunem. Oznacza to, że może on zagrozić życiu ludzi i spowodować duże zniszczenia.

Za darmo: Matsuri - piknik z kulturą japońską
29 maja 2014, 13:30

Za darmo: Matsuri - piknik z kulturą japońską

Już 7 czerwca na Torwarze największa w tym roku impreza poświęcona Japonii! [PROGRAM]

Ulicami Warszawy przejdą postaci z mangi i anime
22 maja 2014, 15:36

Ulicami Warszawy przejdą postaci z mangi i anime

Warszawski Cosplay Walk 2014 poprowadzi z centrum do Parku Praskiego

Zawarcie Paktu Stalowego
21 maja 2014, 13:25

Zawarcie Paktu Stalowego

W Berlinie zawarcie przymierza polityczno-militarnego między Niemcami i Włochami, tzw. Paktu Stalowego. Była to umowa sojusznicza , wymierzona przeciw państwom zachodnim. Poprzez przystąpienie 27 września 1940 Cesarstwa Japonii i rozszerzenie merytoryczne, został przekształcony w pakt trzech.

d35d52j
Amerykański "naszyjnik" wokół Chin - USA zwiększają obecność w Azji
7 maja 2014, 16:55

Amerykański "naszyjnik" wokół Chin - USA zwiększają obecność w Azji

Wydarzenia na Ukrainie i wokół niej przysłoniły nam świat. Tymczasem - jak pisze dla Wirtualnej Polski sinolog, prof. Bogdan Góralczyk - niedawna wizyta prezydenta Baracka Obamy w Azji powinna była zwrócić większą uwagę. Dowiodła bowiem, że amerykańskie zapowiedzi skoncentrowania się na tym regionie należy brać poważnie - i to niezależnie od tego, co jeszcze zrobi prezydent Władimir Putin.

Punkty zapalne świata. Iskra może wywołać pożar
6 maja 2014, 08:50

Punkty zapalne świata. Iskra może wywołać pożar

Spory, przez które mogą paść strzały

Za darmo: jak walczą samuraje?
2 maja 2014, 17:41

Za darmo: jak walczą samuraje?

Pokaz fechtunku bronią białą

Rosja zapowiada budowę infrastruktury militarnej na Kurylach
18 kwietnia 2014, 15:15

Rosja zapowiada budowę infrastruktury militarnej na Kurylach

Rosja ogłosiła, że do 2016 roku zamierza zrealizować plan remilitaryzacji Wysp Kurylskich, będących przedmiotem sporu z Japonią. Resort obrony ogłosił plany budowy infrastruktury wojskowej na wyspach, których zwrotu domaga się Tokio od 1945 roku.

Ziemie "historycznie" nierosyjskie
7 kwietnia 2014, 11:45

Ziemie "historycznie" nierosyjskie

Moskwa mogłaby je utracić z tych samych powodów, którymi uzasadnia przyłączenie Krymu

d35d52j
Za darmo: Dni Japonii w Szkole Głównej Handlowej
5 kwietnia 2014, 15:28

Za darmo: Dni Japonii w Szkole Głównej Handlowej

Warsztaty, wykłady, panel dyskusyjny oraz miła niespodzianka w postaci poczęstunku sushi

Szczyt sezonu kwitnienia wiśni w Japonii
30 marca 2014, 11:59

Szczyt sezonu kwitnienia wiśni w Japonii

W największych japońskich miastach rozkwitły drzewa wiśni

Wałęsa w Japonii
25 marca 2014, 10:01

Wałęsa w Japonii

W sandałach i skarpetkach

Japonia 3 lata po tsunami
10 marca 2014, 10:56

Japonia 3 lata po tsunami

Modlitwy i demonstracje

Trzęsienie ziemi i tsunami w Japonii
7 marca 2014, 15:19

Trzęsienie ziemi i tsunami w Japonii

Trzęsienie ziemi w Japonii - wstrząsy o sile 9 stopni w skali Richtera wywołały gigantyczną falę tsunami, która zniszczyła niemal całe wschodnie wybrzeże Japonii. Awarii uległa elektrownia atomowa Fukushima I i był to najpoważniejszy wypadek nuklearny od czasów katastrofy w Czarnobylu. Zginęło lub zaginęło ponad 21 tysięcy osób. Było to największe trzęsienie ziemi w Japonii od 140 lat, czyli od czasu rozpoczęcia rejestracji aktywności sejsmicznej w tym kraju.

d35d52j
Rzeczniczka chińskiego MSZ: Japonia jest "wichrzycielem", szkodzi pokojowi w regionie
25 lutego 2014, 14:15

Rzeczniczka chińskiego MSZ: Japonia jest "wichrzycielem", szkodzi pokojowi w regionie

Rzeczniczka chińskiego MSZ nazwała Japonię "wichrzycielem", który szkodzi pokojowi i stabilności w regionie. Była to reakcja na słowa krytyki z Tokio w związku ze wzrostem napięcia w Azji Północno-Wschodniej.

Kagoshima - miasto w cieniu aktywnego wulkanu
22 lutego 2014, 10:30

Kagoshima - miasto w cieniu aktywnego wulkanu

Kagoshima, liczące ponad pół miliona mieszkańców miasto w południowo-zachodniej Japonii, znajduje się w niewielkiej odległości od Sakurajimy, jednego z najbardziej aktywnych wulkanów na świecie, który co kilka dni wyrzuca w powietrze chmury popiołu.

Za darmo: Warsztaty kaligrafii japońskiej
19 lutego 2014, 16:58

Za darmo: Warsztaty kaligrafii japońskiej

Ćwiczenie kaligrafii pomaga poprawić koncentrację i zbudować wewnętrzną dyscyplinę, a jednocześnie jest świetną kreatywną zabawą dla wszystkich w każdym wieku

Za darmo: Ferie z kinem japońskim
17 lutego 2014, 17:49

Za darmo: Ferie z kinem japońskim

Daj się zabrać w podróż do niezwykłego świata animacji Studia Ghibli, przemieść się do niedalekiej przyszłości razem z sympatycznym robotem Hinokio

Rośnie liczba ofiar śnieżyc w Japonii
17 lutego 2014, 03:55

Rośnie liczba ofiar śnieżyc w Japonii

Do 19 wzrosła liczba ofiar śmiertelnych gwałtownych śnieżyc, które nękają Japonię - poinformowała w poniedziałek prasa w Tokio, powołując się na oficjalne dane.

d35d52j
Za darmo: Poznaj japońskie baśnie
14 lutego 2014, 15:55

Za darmo: Poznaj japońskie baśnie

Dwujęzyczne spotkanie z kulturą Japonii

Za darmo: Filmowa Środa w Ambasadzie Japonii
13 lutego 2014, 19:05

Za darmo: Filmowa Środa w Ambasadzie Japonii

Tym razem zobaczymy "Always - Sunset on Third Street". Film stał się w Japonii ogromnym sukcesem i został wyróżniony licznymi nagrodami

Podwodne lotniskowce miały zaatakować terytorium USA
13 lutego 2014, 16:33

Podwodne lotniskowce miały zaatakować terytorium USA

Japończycy zbudowali podczas II wojny światowej okręty podwodne, które miały dostarczyć w pobliże wybrzeży USA wodnosamoloty bombowo-torpedowe. Pod koniec wojny były gotowe to ataku, odwołano go w tuż przed planowanym terminem, po amerykańskim bombardowaniu z użyciem bomb atomowych. Po wojnie, Amerykanie zniszczyli wszystkie okręty, aby tajny projekt Cesarstwa Wielkiej Japonii nie dostał się w ręce Sowietów.

II Festiwal Kultury Japońskiej Warsaw Cosplay Taikai
12 lutego 2014, 18:35

II Festiwal Kultury Japońskiej Warsaw Cosplay Taikai

Motywem przewodnim jest konkurs strojów – cosplay. Prócz tego planowane są liczne prelekcje, warsztaty i pokazy

Japonia wg Katarzyny Pąk - opowieści o jedzeniu, ogrodach i japońskich toaletach
10 lutego 2014, 17:10

Japonia wg Katarzyny Pąk - opowieści o jedzeniu, ogrodach i japońskich toaletach

Dodatkowo - zestaw bardzo praktycznych uwag przydatnych przy wyjeździe indywidualnym do Japonii

d35d52j
d35d52j
Więcej tematów

Pobieranie, zwielokrotnianie, przechowywanie lub jakiekolwiek inne wykorzystywanie treści dostępnych w niniejszym serwisie - bez względu na ich charakter i sposób wyrażenia (w szczególności lecz nie wyłącznie: słowne, słowno-muzyczne, muzyczne, audiowizualne, audialne, tekstowe, graficzne i zawarte w nich dane i informacje, bazy danych i zawarte w nich dane) oraz formę (np. literackie, publicystyczne, naukowe, kartograficzne, programy komputerowe, plastyczne, fotograficzne) wymaga uprzedniej i jednoznacznej zgody Wirtualna Polska Media Spółka Akcyjna z siedzibą w Warszawie, będącej właścicielem niniejszego serwisu, bez względu na sposób ich eksploracji i wykorzystaną metodę (manualną lub zautomatyzowaną technikę, w tym z użyciem programów uczenia maszynowego lub sztucznej inteligencji). Powyższe zastrzeżenie nie dotyczy wykorzystywania jedynie w celu ułatwienia ich wyszukiwania przez wyszukiwarki internetowe oraz korzystania w ramach stosunków umownych lub dozwolonego użytku określonego przez właściwe przepisy prawa.Szczegółowa treść dotycząca niniejszego zastrzeżenia znajduje siętutaj